File:OHfranklininfirm1951.jpg
From Asylum Projects
Size of this preview: 549 × 599 pixels. Other resolutions: 220 × 240 pixels | 1,966 × 2,145 pixels.
Original file (1,966 × 2,145 pixels, file size: 319 KB, MIME type: image/jpeg)
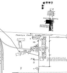
Sanborn map from 1951, note the "insane ward" has been demolished.
File history
Click on a date/time to view the file as it appeared at that time.
| Date/Time | Thumbnail | Dimensions | User | Comment | |
|---|---|---|---|---|---|
| current | 06:39, 21 September 2015 | 1,966 × 2,145 (319 KB) | Squad546 (talk | contribs) | Sanborn map from 1951, note the "insane ward" has been demolished. Category:Sanborn Map |
- You cannot overwrite this file.
File usage
The following page links to this file: